この写真は、昨日の朝、動物病院に連れて行く前のアビのすけの様子。
今日の再検査の結果、アビのすけは手術を受ける事になるかも知れなかったので、昨日の朝ご飯は抜きにしたのですが、アビのすけはもう、お腹が減って、お腹が減って…、なので、こんな悪あがきをしているのです。
とっても元気な様子だったので、もしかしたら手術を回避できるかもしれないと思ったのですが…。
Webカメラに反応してくれる、子猫子猫したアビのすけの様子をご覧下さい。
本当にアビシニアンってやんちゃ…! というか、ひょうきん…! 本当に元気です。
そしてこの後、また1番乗りを目指して、アビのすけを連れて動物病院に向かったのです。
これは車の中のアビのすけの様子…、相変わらず、籠の中で、鳴いて暴れていましたよ。
午前10時過ぎに動物病院に着くと1番乗り…、早速、診察室で先生にアビのすけの状況を簡単に説明をして、飲み込んだ異物が移動しているか、レントゲン撮影の開始です。
私は一人、この診察室を後にして、待合室で待っていたのです。
そして、レントゲン撮影が終わって現像する間、アビのすけと一緒に待合室で待っていたのですが…。
待ってる間、アビのすけは籠から出たがって、背中でドンドンと籠の蓋を押し上げようとしていたのです…、ほんと、やんちゃ。
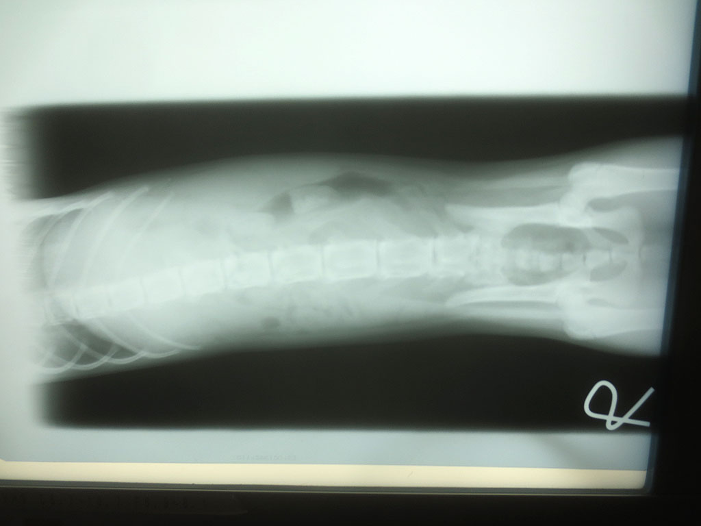
そして、レントゲン写真の現像が終わって、その写真を見させて頂いたのですが、これは前回のレントゲン写真…、前にもアップしたのですが、胃の中に異物があって、これが移動していたかどうかなのですが…。
これが今回の写真…、ちょっと写真の撮り方が悪くって見にくいのですが、残念ながら異物は動いておらず…。
そして、今回は2枚、レントゲン写真を撮って頂いた様なのですが、これは前回の上から撮ったレントゲン写真で…。
これが、今回の上から撮ったレントゲン写真…、上から撮った写真には、前回と同様、何も写っていませんでした。
という事で、手術をして頂く事になってしまったのでした…。
そして、悲しいかったのですが、アビのすけを動物病院に残して、私一人、動物病院を後にしたのです。
手術は午後3時から開始なさるとの事で、手術が終わったら連絡を頂ける事になってたのですが、午後4時頃に電話があって、無事、手術は終わった様で、お腹の中にあったのは、なんかダンボールの様な、それにコーティングをされた物の様、みたいな事をおっしゃっていて…、ダンボール…!? 私、全く何を飲み込んだのか、思い浮かばず…。
そして今日、アビのすけがいない間に、部屋全体を整理して、コロコロをしてファブリーズをしたのですが、「コーティングされたダンボールの様な物」をずっと考えていたのですが、ピンと来たのがこれ…。
猫たちが噛み噛みするおもちゃとして、捨てずに転がしておいたお菓子の箱なのですが、オレンジの方には噛まれまくってる蓋が付いているのですが、緑の方に蓋は付いておらず、アビのすけはよく、この緑の方の蓋を転がして、噛んで、遊んでいた事を思い出して。
そして、部屋の中を探しても探しても、緑の方の蓋が見つからなかったのです…。
まさか、丸ごと、飲み込む事はないだろうと思って、隅々まで探してみたのですが、ないのです…、これをかじって破って飲み込んだのかなぁー…。
そして、アビのすけは多分、開腹して手術をしたと思うので、エリザベスカラーが必要だと思って、アビのすけ用のエリザベスカラーを作ったのですが、ロシ子がはめている様な向きにはめても、お腹を舐める事が出来てしまうから、普通通りのはめ方をしないといけないだろうなぁー…、アビのすけ、ストレスがかかって暴れるだろうなぁー…
さぁ、今からアビのすけを迎えに行ってきます。

アビのすけにマラセブでシャンプーをしました。
「ペットくぐ〜る」を制覇…! これでアビのすけも安心…!
皮膚専門の先生、アビのすけの為に予約しました。
アビのすけを動物病院に…、くたくたになりました…。
YouTubeでずっと見てて、初めてブログを拝見しました!
私は今年の5月の頭にアビシニアンのルディの男の子を
お迎えするのですが、ウェブカメラを付けたいと思っています。こちらのブログで見させていたいて、何を使っているのか気になってコメントさせて頂きました!
よろしければ教えていただけますか?
ガっソさん、初めまして。この度はアビのすけのブログにコメント頂きまして、有難うございます。
5月にアビシニアンをお迎えなさるんですね…、男の子はとってもやんちゃですので、頑張って下さいね。
我が家に設置しているWebカメラは、IOデータの物です。
→→→ TS-WPTCAMシリーズのWebカメラ
今はもう少し新しいバージョンが出ていると思いますので、確認してみて下さい。
これは、私的にはとっても優れ物で、外国に行っていても、猫ちゃんたちの様子を見る事が出来るので、是非、検討してみて下さいね。
短期間で色々な事が重なってお疲れだと思います。
愛猫のことは自分のこと以上に心配になりますよね(>_<)
お忙しいと思いますが、ご自愛ください。
えらそうなことは言えませんが、パパさんの笑顔が2にゃんにとって励みになると思います。
アビのすけ君の手術が無事に終わったようで良かったです。
小さな身体で頑張りましたね!
ここ数日のブログを拝見して涙目になってしまいましたが、原因が判明して早く処置をできたことも良かったですよね。
順調に回復することを祈っています。
りくは何度か誤食していますが、運良く吐いたり便で出てきていました。
その都度猛反省しましたが、今後は更に気をつけなければと身が引き締まる思いです。
男の子は本当にやんちゃですもんね。
ロシ子ちゃんも早く良くなりますように!
りんこさん、こんばんわ。コメントを有難うございます。
アビのすけが手術をした日は、アビのすけは病院に泊りましたので、私もロシ子も一時の穏やかな時間を過ごしたのですが、昨晩、アビのすけが帰って来て、昨晩は新鮮な気持ちでアビのすけのお世話をしたのですが、今日はまた、気苦労が増える様な事がありまして、本当にクタクタになってしまいます…。
ロシ子は今、真菌になっていて、朝と晩にイソジンで消毒をしているのですが、イソジンがかなり滲みる様で、温厚なロシ子が今にも本気で怒ってしまいそうな勢いで唸りかけて、ロシ子がかわいそうでかわいそうで、そんなロシ子の様子を見るだけで、私も心が折れてしまいそうになっています…。
以前、りんこさんに、「多頭飼いも良いですよ」みたいな事をコメントでお返しさせて頂いたかと思うのですが、りんこさんもお仕事をなさっておられて、とてもお忙しい方だと思いますので、今、私がこの状況になって、軽はずみに「多頭飼いも良いですよ」なんて言えない状況になってしまいました…。
2にゃん目が子猫の、特に男の子だと、大変さは2番では済まずに、少なくても3倍は大変な感じがしていて、アビのすけには早く大人になってもらって、落ち着いて欲しいと思っています。
ちょっと愚痴っぽくなってしまってすいません…、頑張って2にゃんのお世話をして行こうと思います…! 我が家の猫たちを心配して下さいまして、有難うございます。